Chronicle of Abc Gold Plot

Abc Gold Plot rera registered project is located at Pethapur, Gandhinagar. at Pethapur, Gandhinagar. Abc Gold Plot project is being developed by Arvindbhai Badabhai Chaudhri And Others. Rera number of Abc Gold Plot project is PR/GJ/GANDHINAGAR/GANDHINAGAR/Others/PAA07269/280720. As per rera registration Abc Gold Plot project is started on date 2020-03-01 and planned to complete on or before date 2022-12-31.
Brochure of Abc Gold Plot project is available for download.

Project Summery of Abc Gold Plot

Social Media
Rera No

PR/GJ/GANDHINAGAR/GANDHINAGAR/Others/PAA07269/280720

Unit Details of Abc Gold Plot

Type Carpet Area (sqft)
RESIDENTIAL PLOTTING 715 - 1758

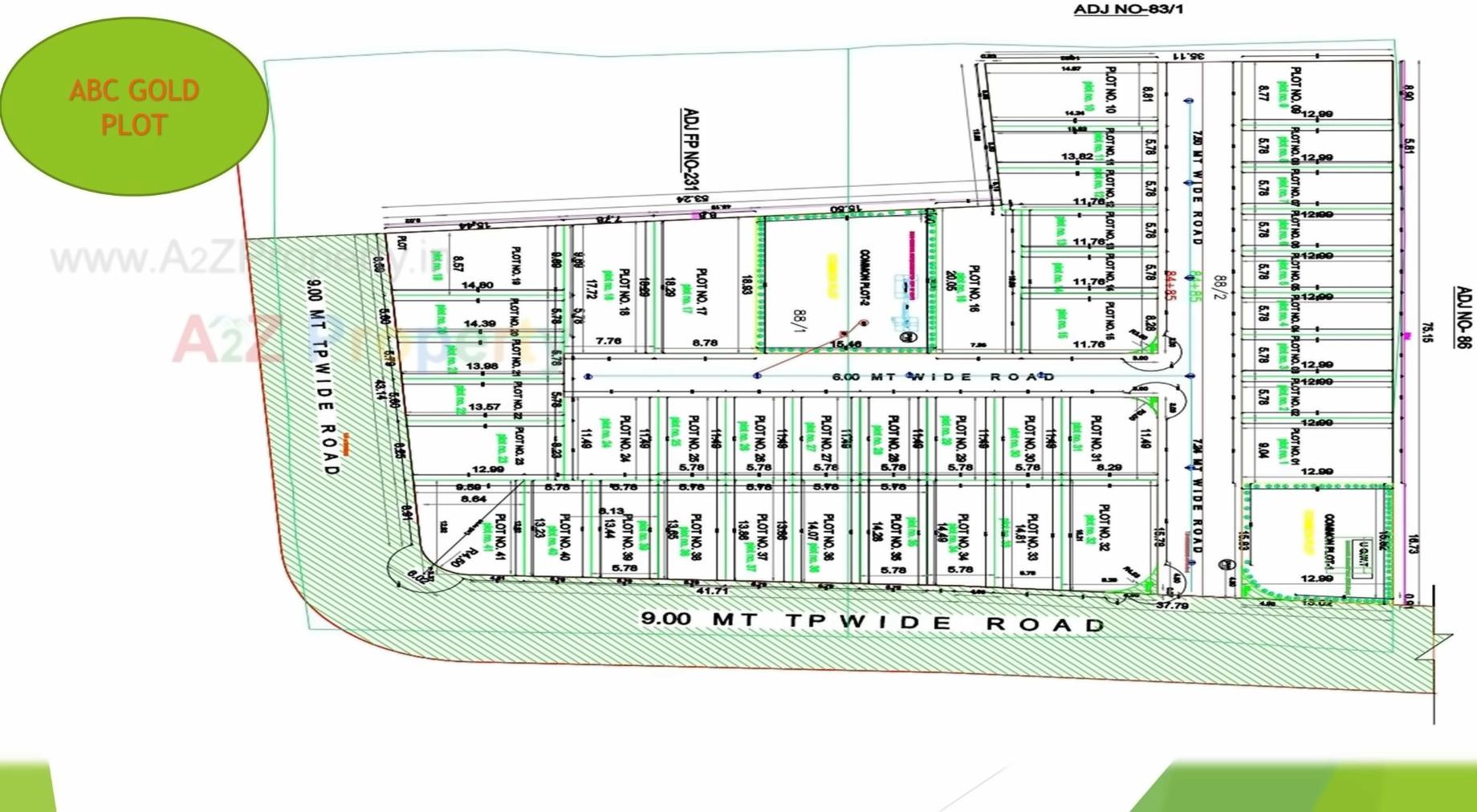
Layout Plan

E-Brochure

Map Location of Abc Gold Plot

Keyplan

Keyplan

Project Details

Address

Abc Gold Plot

Survey No 88/1 +88/2, Final Plot No. 84+85, Tps 16, Pethapur

Email

abcgold20@gmail.com

Share on
Promoters

Arvindbhai Badabhai Chaudhri And Others

Rera No

PR/GJ/GANDHINAGAR/GANDHINAGAR/Others/PAA07269/280720

Start Date

2020-03-01

End Date

2022-12-31

Area of Project

5,063

District

Gandhinagar

State

Gujarat

Project Type

Plotted Development

Architect

HEMANT MEHTA

Disclaimer

The details displayed here are for informational purposes only. Information of real estate projects like details, floor area, location are taken from multiple sources on best effort basis. Nothing shall be deemed to constitute legal advice, marketing, offer, invitation, acquire by any entity. We advice you to visit the RERA website before taking any decision based on the contents displayed on this website.

Projects in pethapur

Projects in Gandhinagar