Chronicle of Origin Park

Origin Park rera registered project is located at Vasna-hadmatiya, Gandhinagar. at Vasna-hadmatiya, Gandhinagar. Origin Park project is being developed by . Rera number of Origin Park project is PR/GJ/GANDHINAGAR/GANDHINAGAR/Others/MAA12325/290923. As per rera registration Origin Park project is started on date 2023-04-25 and planned to complete on or before date 2028-03-31.
Brochure of Origin Park project is available for download.

Project Summery of Origin Park

Social Media
Contact

+91 8141230000

Rera No

PR/GJ/GANDHINAGAR/GANDHINAGAR/Others/MAA12325/290923

Unit Details of Origin Park

Type Carpet Area (sqft)
BLOCK A+B+C
BLOCK D
BLOCK E

3D Elevation

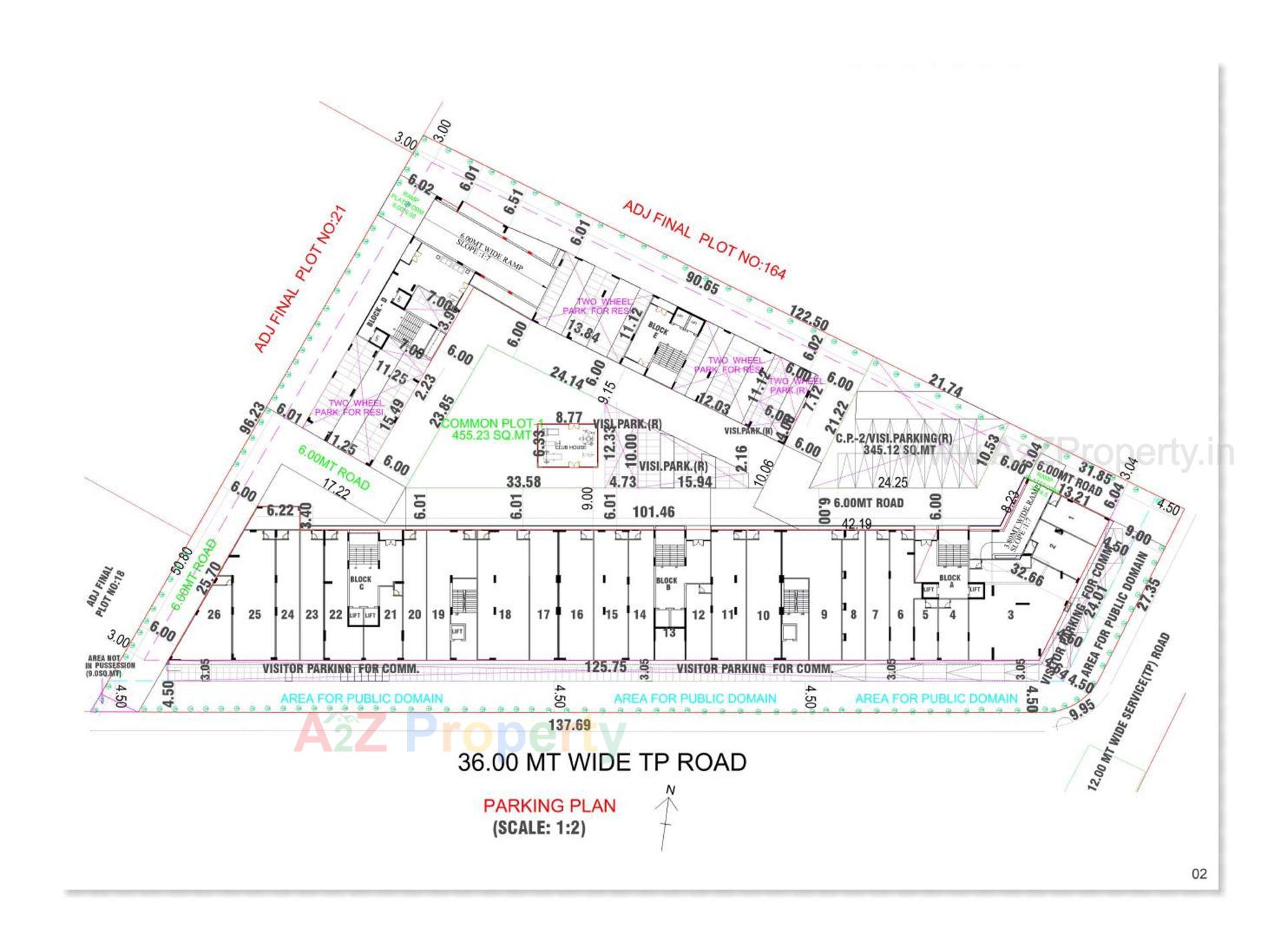
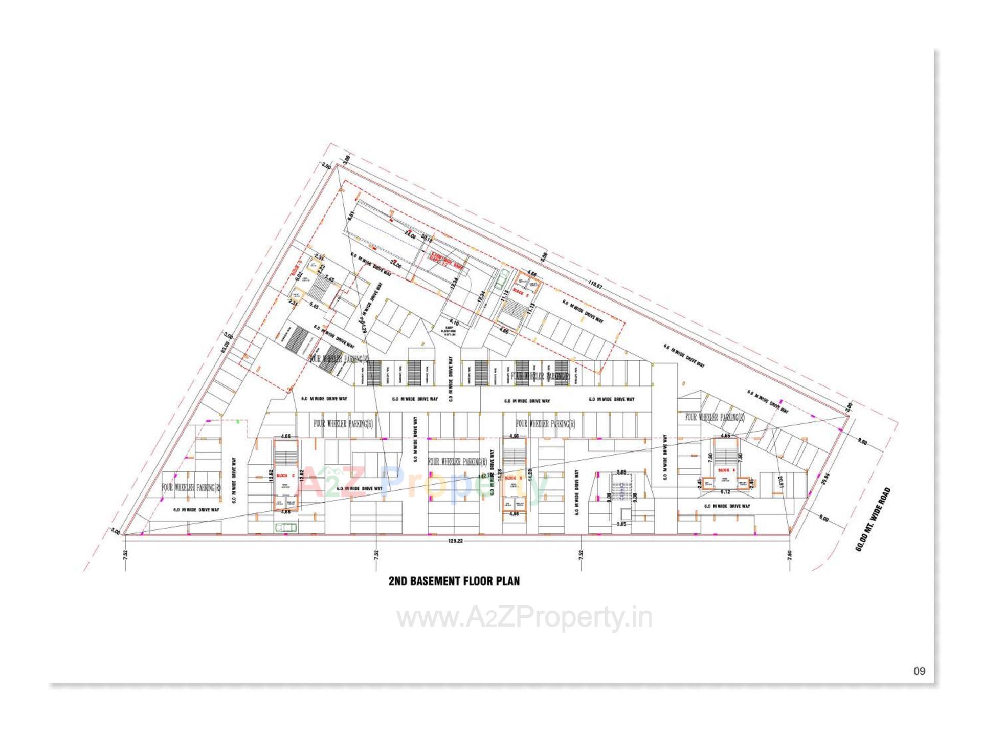
Layout Plan

E-Brochure

Map Location of Origin Park

Project Details

Address

Origin Park

S No 27a, Vasana Hadmatiya Village

Contact

+91 8141230000

Email

origindevelopers96@gmail.com

Share on
Promoters

Rera No

PR/GJ/GANDHINAGAR/GANDHINAGAR/Others/MAA12325/290923

Start Date

2023-04-25

End Date

2028-03-31

Area of Project

7,989

District

Gandhinagar

State

Gujarat

Project Type

Mixed Development

Architect

Dipika Chavda

Structure

VIREN D PAREKH

Disclaimer

The details displayed here are for informational purposes only. Information of real estate projects like details, floor area, location are taken from multiple sources on best effort basis. Nothing shall be deemed to constitute legal advice, marketing, offer, invitation, acquire by any entity. We advice you to visit the RERA website before taking any decision based on the contents displayed on this website.

Projects in vasna-hadmatiya

Projects in Gandhinagar