Chronicle of Pramukh Pearl

Pramukh Pearl rera registered project is located at Tarapur, Gandhinagar. at Tarapur, Gandhinagar. Pramukh Pearl project is being developed by Psy Organizer. Rera number of Pramukh Pearl project is PR/GJ/GANDHINAGAR/GANDHINAGAR/Others/MAA10193/130522. As per rera registration Pramukh Pearl project is started on date 2022-03-15 and planned to complete on or before date 2027-03-31.
Brochure of Pramukh Pearl project is available for download.

Project Summery of Pramukh Pearl

Social Media
Rera No

PR/GJ/GANDHINAGAR/GANDHINAGAR/Others/MAA10193/130522

Unit Details of Pramukh Pearl

Type Carpet Area (sqft)
BLOCK A 184 - 1122
BLOCK B 199 - 1080
BLOCK C 255 - 1080

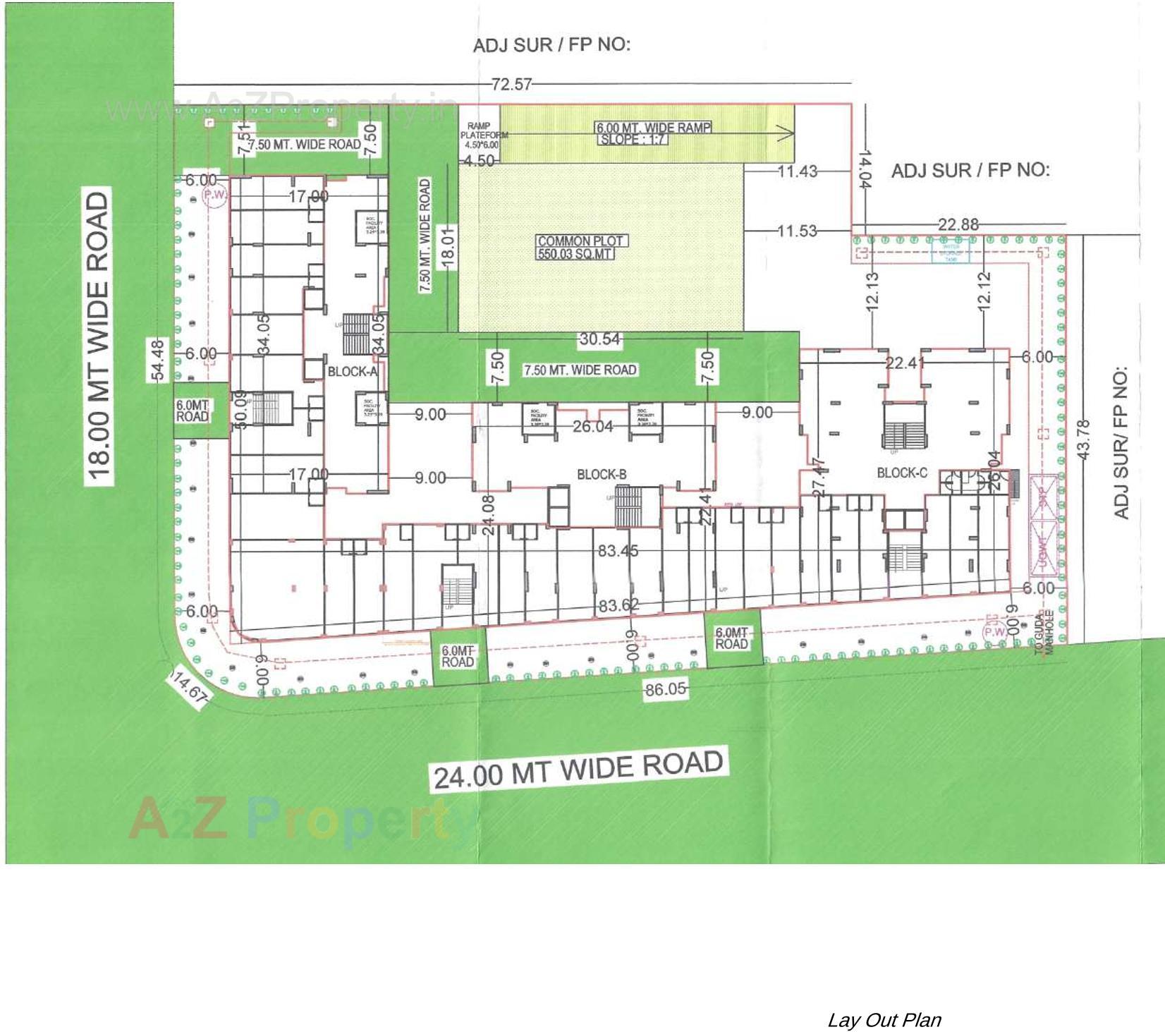
Layout Plan

E-Brochure

Map Location of Pramukh Pearl

Keyplan

Keyplan

Project Details

Address

Pramukh Pearl

Survey No 344/003, 344/001, 345, 344/002, 342/003/002, Tarapure, Gandhinagar

Email

pramukhpearl22@gmail.com

Share on
Promoters

Psy Organizer

Rera No

PR/GJ/GANDHINAGAR/GANDHINAGAR/Others/MAA10193/130522

Start Date

2022-03-15

End Date

2027-03-31

Area of Project

5,473

District

Gandhinagar

State

Gujarat

Project Type

Mixed Development

Architect

ARPIT SHAH- GREY LEAF

Structure

Vasant Soni

Disclaimer

The details displayed here are for informational purposes only. Information of real estate projects like details, floor area, location are taken from multiple sources on best effort basis. Nothing shall be deemed to constitute legal advice, marketing, offer, invitation, acquire by any entity. We advice you to visit the RERA website before taking any decision based on the contents displayed on this website.

Projects in tarapur

Projects in Gandhinagar