Chronicle of Shubham Villa

Shubham Villa rera registered project is located at Katargam, , Surat. at Katargam, , Surat. Shubham Villa project is being developed by . Rera number of Shubham Villa project is PR/GJ/SURAT/SURAT CITY/Surat Municipal Corporation/PAA13359/200424/311226. As per rera registration Shubham Villa project is started on date 2024-02-25 and planned to complete on or before date 2026-12-31.
Brochure of Shubham Villa project is available for download.

Project Summery of Shubham Villa

Social Media
Contact

+91 9825244102

Rera No

PR/GJ/SURAT/SURAT CITY/Surat Municipal Corporation/PAA13359/200424/311226

Unit Details of Shubham Villa

Type Carpet Area (sqft)
OPEN PLOTS (1 TO 28)

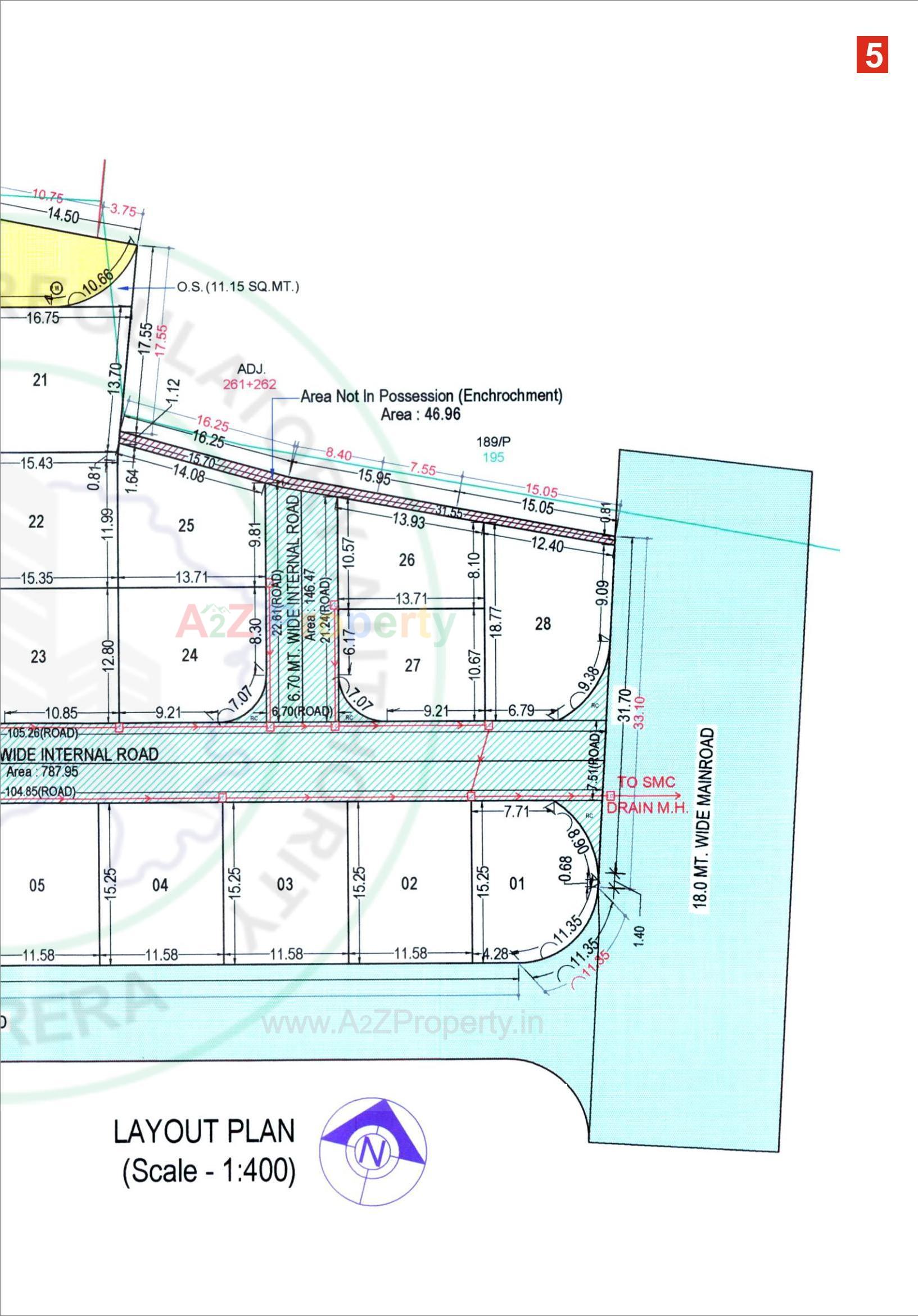
Layout Plan

E-Brochure

Map Location of Shubham Villa

Project Details

Address

Shubham Villa

Block No. 182, Tp 49 (katargam) Fp No. 252,

Contact

+91 9825244102

Email

shukan.bunglows2023@gmail.com

Share on
Promoters

Rera No

PR/GJ/SURAT/SURAT CITY/Surat Municipal Corporation/PAA13359/200424/311226

Start Date

2024-02-25

End Date

2026-12-31

District

Surat

State

Gujarat

Project Type

Plotted Development

Architect

Bhavdip Vallabhbhai Hirani

Structure

AKHILKUMAR KHIMJIBHAI VAGHANI

Disclaimer

The details displayed here are for informational purposes only. Information of real estate projects like details, floor area, location are taken from multiple sources on best effort basis. Nothing shall be deemed to constitute legal advice, marketing, offer, invitation, acquire by any entity. We advice you to visit the RERA website before taking any decision based on the contents displayed on this website.

Projects in KATARGAM,

Projects in Surat