Chronicle of Swastik Residency

Swastik Residency rera registered project is located at Pardi, Surat. at Pardi, Surat. Swastik Residency project is being developed by Swastik Devlopers. Rera number of Swastik Residency project is PR/GJ/SURAT/CHORASI/SUDA/MAA02215/EX1/100419. As per rera registration Swastik Residency project is started on date 2016-03-23 and planned to complete on or before date 2020-03-31.
Swastik Residency project is providing amenities like Lift. Brochure of Swastik Residency project is available for download.

Project Summery of Swastik Residency

Social Media
Rera No

PR/GJ/SURAT/CHORASI/SUDA/MAA02215/EX1/100419

Unit Details of Swastik Residency

Type Carpet Area (sqft)
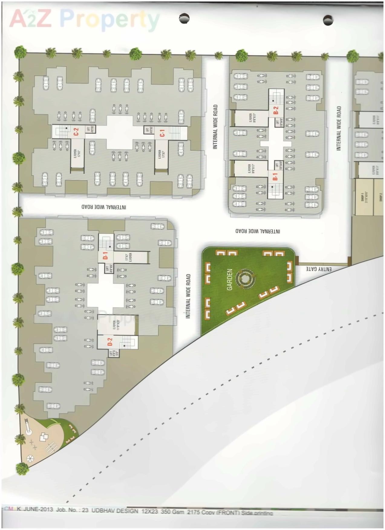
A1 WING 360 - 368
A2 WING 59 - 368
B1 WING 360 - 368
B2 WING 360 - 368
C1 WING 539 - 541
C2 WING 539 - 541
D1 WING 535 - 541
D2 WING 541 - 541

3D Elevation

Layout Plan

Amenities of Swastik Residency

* Actual amenities may vary with displayed information.

Lift

E-Brochure

Current Construction Photos

Map Location of Swastik Residency

Keyplan

Keyplan

Project Details

Address

Swastik Residency

Fp No.57 Paiki 1, Op No.57, Block No-59 And 60, Tps No-59 (pardi Kande-sachin-kansad)

Email

swastikresidency02@yahoo.com

Share on
Promoters

Swastik Devlopers

Rera No

PR/GJ/SURAT/CHORASI/SUDA/MAA02215/EX1/100419

Start Date

2016-03-23

End Date

2020-03-31

Area of Project

3,650.86

District

Surat

State

Gujarat

Project Type

Mixed Development

Disclaimer

The details displayed here are for informational purposes only. Information of real estate projects like details, floor area, location are taken from multiple sources on best effort basis. Nothing shall be deemed to constitute legal advice, marketing, offer, invitation, acquire by any entity. We advice you to visit the RERA website before taking any decision based on the contents displayed on this website.

Projects in pardi

Projects in Surat