Chronicle of Gajanan Exotica

Gajanan Exotica rera registered project is located at Tarsali, Vadodara. at Tarsali, Vadodara. Gajanan Exotica project is being developed by Gajanan Realty. Rera number of Gajanan Exotica project is PR/GJ/VADODARA/VADODARA/Others/MAA08937/240821. As per rera registration Gajanan Exotica project is started on date 2021-05-27 and planned to complete on or before date 2026-05-26.
Brochure of Gajanan Exotica project is available for download.

Project Summery of Gajanan Exotica

Social Media
Rera No

PR/GJ/VADODARA/VADODARA/Others/MAA08937/240821

Unit Details of Gajanan Exotica

Type Carpet Area (sqft)
TOWER-01(A+B)
TOWER-02(C+D+E)

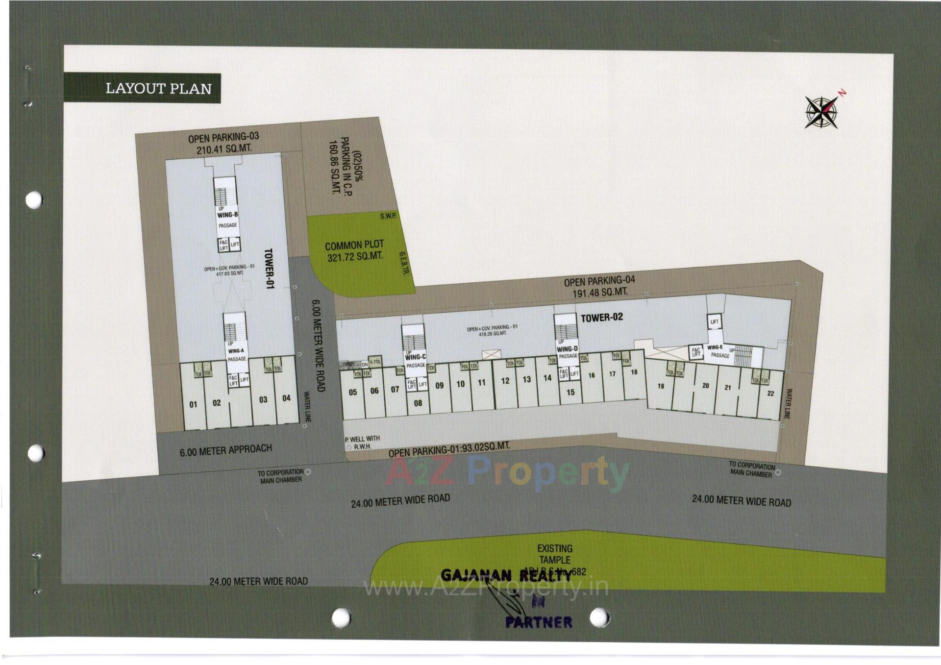
Layout Plan

E-Brochure

Keyplan

Keyplan

Project Details

Address

Gajanan Exotica

Gajanand Exotica, Behind Dawat Restaurant, Tarsali

Email

gajananrealty603@gmail.com

Share on
Promoters

Gajanan Realty

Rera No

PR/GJ/VADODARA/VADODARA/Others/MAA08937/240821

Start Date

2021-05-27

End Date

2026-05-26

Area of Project

3,217.2

District

Vadodara

State

Gujarat

Project Type

Mixed Development

Architect

KIRAN PATEL (SPACE PLUS)

Structure

HARISH A PATEL (COMTEN ENGINEERS)

Disclaimer

The details displayed here are for informational purposes only. Information of real estate projects like details, floor area, location are taken from multiple sources on best effort basis. Nothing shall be deemed to constitute legal advice, marketing, offer, invitation, acquire by any entity. We advice you to visit the RERA website before taking any decision based on the contents displayed on this website.

Projects in tarsali

Premium projects in Vadodara

Projects in Vadodara