Chronicle of Kiaan Residency

Kiaan Residency rera registered project is located at Vadodara, Vadodara. at Vadodara, Vadodara. Kiaan Residency project is being developed by Amit D Tailor Proprietor Hezal Developers. Rera number of Kiaan Residency project is PR/GJ/VADODARA/VADODARA/Others/RAA10992/031222. As per rera registration Kiaan Residency project is started on date 2021-08-01 and planned to complete on or before date 2025-03-31.
Brochure of Kiaan Residency project is available for download.

Project Summery of Kiaan Residency

Social Media
Rera No

PR/GJ/VADODARA/VADODARA/Others/RAA10992/031222

Unit Details of Kiaan Residency

Type Carpet Area (sqft)
Kiaan Residency 159 - 230

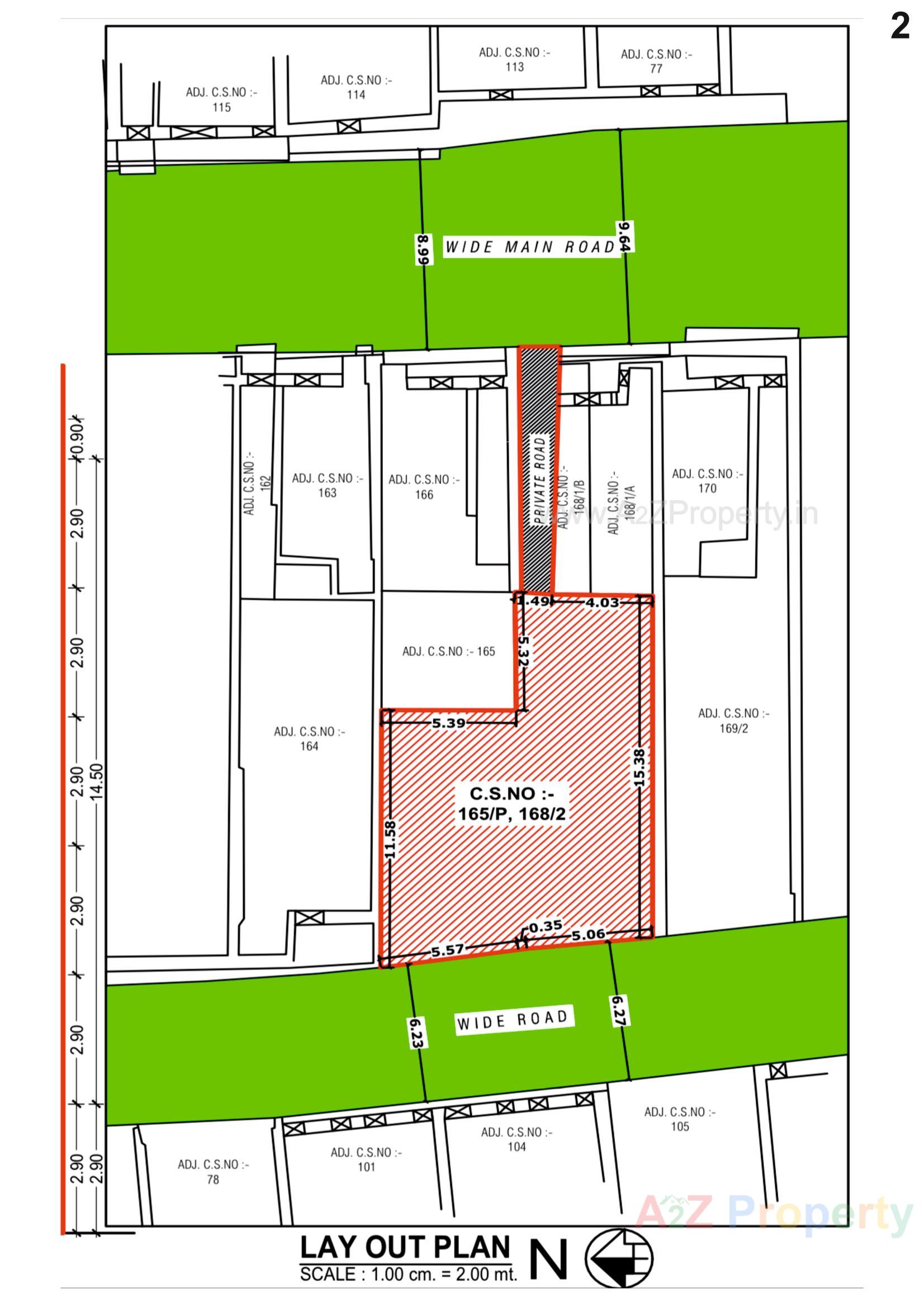
Layout Plan

E-Brochure

Map Location of Kiaan Residency

Keyplan

Keyplan

Project Details

Address

Kiaan Residency

55 Mahavir Swami Ni Pole, Raopura

Share on
Promoters

Amit D Tailor Proprietor Hezal Developers

Rera No

PR/GJ/VADODARA/VADODARA/Others/RAA10992/031222

Start Date

2021-08-01

End Date

2025-03-31

Area of Project

143.09

District

Vadodara

State

Gujarat

Project Type

Residential/Group Housing

Architect

Shivangi Pravinbhai Patel

Structure

Janki S Patel

Disclaimer

The details displayed here are for informational purposes only. Information of real estate projects like details, floor area, location are taken from multiple sources on best effort basis. Nothing shall be deemed to constitute legal advice, marketing, offer, invitation, acquire by any entity. We advice you to visit the RERA website before taking any decision based on the contents displayed on this website.

Projects in Vadodara

Premium projects in Vadodara

Projects in Vadodara